This review covers a popular snorkeling experience from Nilaveli that promises a glimpse into Sri Lanka鈥檚 vibrant marine life. While I haven’t personally taken this trip, I鈥檝e analyzed the details, reviews, and local insights to give you a clear picture of what to expect.
What makes this experience appealing? First, the affordable price point of $22 per person makes it accessible for many travelers. Second, the chance to see live coral reefs and colorful tropical fish鈥攁 true highlight for underwater enthusiasts. Third, the possibility of spotting turtles and even black tip reef sharks adds an extra layer of excitement.
However, a possible consideration is that Angel Rock doesn’t have a beach, which might be a surprise for those expecting a traditional beachside snorkeling spot. This means you’ll need to be comfortable with a boat-based adventure and possibly getting in and out of the water from a boat platform.
This tour is ideal for budget travelers, snorkeling lovers, and those seeking a more authentic, less commercialized marine experience. It鈥檚 best suited for individuals who are comfortable with boat rides and interested in marine biodiversity.
This experience made our article of 3 Top Tours & Experiences In Trikunamalaya (With Reviews & Prices).
- Key Points
- Introduction: What Makes This Snorkeling Trip Special?
- What to Expect from the Snorkeling Trip to Angel Rock
- The Itinerary and Location
- The Boat Ride
- Snorkeling and Marine Life
- The Marine Environment
- Turtles and Reef Sharks
- The Practicalities: What You Need to Know
- Pricing and Value
- What’s Included and What’s Not
- Meeting Point and Duration
- What to Bring
- Weather and Sea Conditions
- Authentic Insights from Reviewers
- Who Should Consider This Tour?
- The Sum Up
- FAQ
- The Best Of Trikunamalaya!
- More Snorkeling Tours in Trikunamalaya
- More Tour Reviews in Trikunamalaya
Key Points
- Affordable Price: At just $22, it offers excellent value for a memorable snorkeling experience.
- Rich Marine Life: Expect to see vibrant coral reefs, colorful fish, and perhaps turtles or reef sharks.
- Boat-Based Experience: The trip is primarily by boat, as Angel Rock has no beach access.
- Guided and Equipped: Snorkeling gear and a boat are included, making it convenient.
- Ideal for Non-Beach Lovers: Perfect for those who prefer reef exploration over relaxing on a sandy shore.
- Weather Matters: Best enjoyed in calm sea conditions with good visibility.
馃憠 See our pick of the 3 Top Tours & Experiences In Trikunamalaya (With Reviews & Prices)
Introduction: What Makes This Snorkeling Trip Special?

If you’re considering a snorkeling adventure near Nilaveli, the trip to Angel Rock is worth a look. It鈥檚 not just about floating on the water; it鈥檚 about discovering Sri Lanka鈥檚 underwater treasures in a straightforward, budget-conscious way.
What excites us most about this experience is the chance to see live coral reefs teeming with fish鈥攚ithout the hefty price tag of Pigeon Island. The trip is straightforward, with all equipment provided, and the boat ride itself adds an element of adventure. Plus, the possibility of spotting turtles or even reef sharks makes it especially appealing to wildlife lovers.
One thing to keep in mind is that Angel Rock doesn鈥檛 have a beach, so this isn鈥檛 your typical beach holiday activity. Instead, it鈥檚 a boat-to-reef journey, which is perfect if you鈥檙e comfortable with a little water-based travel. It suits those who value authentic marine encounters over sunbathing or lounging on sandy shores.
You can also read our reviews of more snorkeling tours in Trikunamalaya
What to Expect from the Snorkeling Trip to Angel Rock

The Itinerary and Location
The trip departs from Pigeon Island Tours at Nilaveli, with the meeting point conveniently located at The Rice and Curry Seafood restaurant. From there, you’ll hop on a boat that takes approximately 15-20 minutes to reach Angel Rock, which is situated about 1.8 km from Pigeon Island Marine National Park and 2.5 km from Nilaveli Public Beach. This location is chosen for its clear waters and vibrant marine life.
The Boat Ride
The journey out to Angel Rock is part of the fun. According to reviews, the boat is well-maintained, and the ride itself is fairly quick, allowing you to focus on the anticipation of what lies beneath the surface. The boat comes with a return trip included, so there’s no need to worry about arranging transport back鈥攋ust relax and enjoy the scenery.
More Great Tours NearbySnorkeling and Marine Life
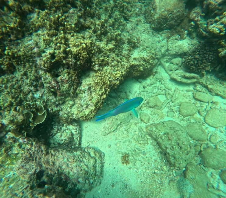
Once at Angel Rock, you’ll find yourself in the midst of a lively coral reef. The waters are described as crystal-clear, offering excellent visibility鈥攃rucial for appreciating the underwater environment. Expect to see a variety of colorful fish darting through the coral, and if luck is on your side, you might spot turtles gliding gracefully or even black tip reef sharks lurking nearby.
The snorkeling equipment is supplied, making it easy for even beginners to try their hand at exploring. The experience is primarily guided by the crew, who are usually knowledgeable about marine life and safety. However, guide services aren鈥檛 explicitly included, so some travelers might prefer to bring their own or seek additional guidance if needed.
The Marine Environment
What makes Angel Rock particularly special is the live coral reef, which is described as vibrant and teeming with marine creatures. Traveling at the right time of year and in calm sea conditions will maximize your chances of seeing the full spectrum of marine biodiversity. Remember, visibility can vary, so patience and a bit of luck play a role here.
Turtles and Reef Sharks
While the tour doesn’t guarantee sightings of turtles or reef sharks, reviews suggest that these sightings are quite common. Roman, one reviewer, mentioned, “I highly recommend it. But if you have back problems, don’t get on,” highlighting that the boat ride might be jarring for some. The black tip reef sharks are generally harmless but add an element of thrill for those interested in marine predators.
The Practicalities: What You Need to Know

Pricing and Value
At $22, this trip strikes a good balance between affordability and quality. For the price, you receive a boat ride, snorkeling gear, and access to a vibrant underwater world鈥攏ot to mention the chance to see marine wildlife up close. Compared to Pigeon Island, which some find expensive, Angel Rock offers a more budget-friendly alternative without sacrificing much in terms of marine diversity.
What’s Included and What’s Not
Included:
- Boat with return trip
- Snorkeling equipment
- Access to Angel Rock snorkeling site
- Marine life viewing opportunities
- Chance to see turtles and sharks (not guaranteed)
Not Included:
- Hotel pickup or drop-off
- Food or drinks
- Guide services (though guides are often on board)
Meeting Point and Duration
The trip starts at The Rice and Curry Seafood restaurant, with the activity ending back at the same spot. It’s a flexible, half-day experience鈥攁llowing you to plan your day around it with ease. Most trips last a few hours, giving ample time for snorkeling and relaxing on the boat.
What to Bring
Bring essentials like a hat, swimwear, towel, sunscreen, and water. Since Angel Rock doesn鈥檛 have a beach, you’ll need your own towel and sun protection. Also, be mindful that touching marine life and fishing are not allowed, helping preserve the fragile ecosystem.
Weather and Sea Conditions
The best time to go is during calm sea conditions. Visibility and marine life sightings tend to be better when the waters are tranquil, usually during dry season months. Always check the weather forecast before booking to ensure a smooth trip.
Authentic Insights from Reviewers

Roman, a satisfied customer, shared a straightforward tip: “I highly recommend it. But if you have back problems, don’t get on,” indicating that the boat ride can be a bit bumpy for some. This is an important consideration for anyone with back issues or seasickness.
Another reviewer appreciated the knowledgeable guides and the stunning underwater views, emphasizing that the boat crew was friendly and well-informed about the marine environment. This extra touch can make a significant difference in enhancing your overall experience.
Who Should Consider This Tour?

This snorkeling trip is perfect for budget travelers looking for quality marine experiences without the high costs of national parks or private tours. It鈥檚 also well-suited for families, snorkelers of all levels, and nature lovers eager to see Sri Lanka鈥檚 underwater life in its natural habitat.
However, it鈥檚 not ideal for non-swimmers or those with back problems due to the boat ride. If you鈥檙e prone to seasickness, bring necessary remedies, and check sea conditions before you go.
The Sum Up

The Snorkeling Trip to Angel Rock offers a comfortable, affordable, and genuinely engaging way to experience Sri Lanka鈥檚 underwater world. With its lively coral reefs, colorful marine life, and the chance to spot turtles and sharks, it delivers plenty of excitement for a small price. The boat ride and equipment are included, making it convenient and straightforward.
For travelers who love marine environments but prefer a hassle-free, budget-friendly adventure, this trip hits the mark. It鈥檚 especially suited for those who appreciate authentic experiences without the crowds or inflated prices of more commercialized options.
While it鈥檚 not a beach-based activity, the boat exploration and underwater scenery more than compensate. Just remember to go in calm weather, bring your essentials, and be ready for a memorable snorkel in Sri Lanka鈥檚 vibrant waters.
FAQ
What is the price of the snorkeling trip?
The experience costs about $22 per person, which includes the boat ride, snorkeling gear, and access to Angel Rock.
Is the trip suitable for non-swimmers?
Since snorkeling is involved, this experience is best for swimmers. Non-swimmers might find it challenging without additional support.
Does the tour include guide services?
Guide services are not explicitly included, but the crew aboard the boat are knowledgeable and helpful, especially regarding marine life.
What should I bring with me?
Bring a hat, swimwear, towel, sunscreen, and water. Since Angel Rock doesn’t have a beach, you’ll need to bring your own towel and sun protection.
Can I see turtles or sharks?
While sightings are not guaranteed, reviews mention the possibility of spotting turtles and black tip reef sharks during the trip.
What are the sea conditions like?
The best trips are during calm seas, which improve visibility and marine life sightings. Always check the weather forecast before booking.
This snorkeling adventure to Angel Rock is a fantastic choice for those seeking an authentic, budget-friendly marine experience in Sri Lanka, offering vibrant underwater scenery and wildlife encounters in a convenient package.
馃搷 This experience made our list of the 3 best Tours & Experiences in Trikunamalaya






